Notice: The Chamber's documentation and customs declaration services announce festive opening hours. Click here to view.

New findings from the Fight Against Blight (FAB) 2025 campaign show why choosing potato varieties that can naturally fight off disease is becoming increasingly important. 

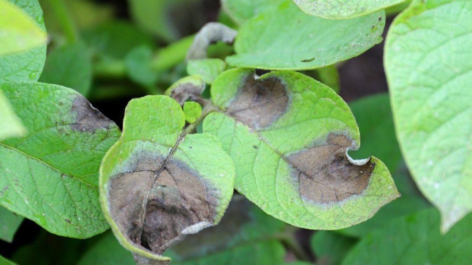
Late blight, a fast-spreading disease that can devastate potato crops, is still changing and adapting, making it a continuing challenge for farmers.

Dr David Cooke from The James Hutton Institute, who leads the national blight-monitoring programme, explained that the 2025 season started off quietly. Unusually dry weather in April and May helped hold back early infections, and in some parts of eastern England, conditions weren’t right for blight until mid-July. By then, many early infection sources had already been kept under control.

The first blight case of the year appeared in Ceredigion in mid-May, followed by cases in Cornwall, Pembroke, Perth and Kinross, and Aberdeenshire during June.

The James Hutton Institute is home to the National Potato Innovation Centre, which works with scientists, industry, and government to keep the UK potato sector strong and sustainable. Their aim is to help protect the future of potatoes as an affordable, nutritious crop that supports the economy.

Across the UK, scientists analysed 81 blight outbreaks in 2025. Over half of these came from “volunteer” potato plants—leftover potatoes from previous seasons that kept growing into the warm, wet autumn and provided ideal conditions for the disease.

One strain of blight, known as EU46, increased sharply this year, making up almost a quarter of all samples. Fortunately, it appeared in only a few locations, mostly trial plots and organic fields, and rarely in major commercial crops. The strain was first found in Wales and later appeared in the Midlands and Derbyshire, possibly helped along by Storm Amy. Its presence in Wales suggests it may return next year.

Dr Cooke noted that EU46 is resistant to a key fungicide ingredient, meaning it is harder to control with certain sprays. The good news is that, unlike problems seen in parts of Europe, British growers appear to be following recommended spraying practices, helping to prevent major control failures.

Other findings included:

  • EU36 was the most common strain again this year, making up over 40% of cases. It can overcome resistance in some potato varieties and has been linked to fungicide resistance in parts of Europe. It is now more widespread across the UK than before.
  • EU37, a strain resistant to one type of fungicide, has almost disappeared—suggesting good management is paying off.
  • EU13, another long-standing strain, appeared only twice and only on volunteer plants.

Even though fewer blight samples were reported in 2025, Dr Cooke warned growers not to lower their guard. He stressed that it remains vital to rotate fungicides rather than relying on the same product repeatedly, which increases the risk of resistance. He also highlighted the growing importance of choosing potato varieties with strong natural disease resistance and keeping fields clear of leftover potatoes and waste piles that can harbour infection.

Hutton researcher James Lynott tested which fungicides still work well against the strains found in the UK. Most products remained effective, although EU46 showed resistance to one important ingredient. Throughout the season, he also expanded DNA testing to provide farmers with quick, up-to-date information to help manage blight more effectively.

Looking ahead to 2026, Dr Cooke recommended three key actions:

  1. Rotate fungicides and avoid repeatedly using the same one.
  2. Choose potato varieties that naturally resist blight.
  3. Remove sources of infection, such as volunteer plants, waste piles, and contaminated soil.

These steps will help protect crops as blight continues to adapt, supporting a more sustainable and resilient potato industry.

For more information contact Media Officer, Joyce Reid, joyce.reid@hutton.ac.uk, or on 07931 551 988

More like this…

View all